Canine hip dysplasia (HD) is a common problem in dogs, affecting mostly larger breeds where the coxofemoral joint is abnormally lax during development. This leads to a luxating hip joint and secondary arthritic changes. There is often lameness and a change in gait associated with pain in chronic cases.
A total hip replacement (THR) is a surgical procedure to improve quality of life. It is offered by referral practices as a salvage procedure for canine patients suffering from HD and has been documented to show good success.
The first article in this miniseries reviews the case of a dog with hip dysplasia through a successful THR surgery.
Hip dysplasia
HD is a disease which starts in the young growing dog when the coxofemoral joint becomes unstable due to excessive laxity. The teres ligament becomes stretched, and surrounding muscle loss can be seen. This muscle loss allows the joint to subluxate and the acetabulum and femoral head become flatter and remodelled. Consequently, the femoral head is not well seated in the cup of the acetabulum (DeCamp et al., 2016).
These changes can be diagnosed with radiographs and can lead to osteophyte formation and the development of osteoarthritis (OA) (Butler and Gambino, 2017). Dogs with increased body mass and body condition score (BCS) are more likely to be associated with OA (Smith, 2019). Obesity puts pressure on joints, increasing pain; therefore, keeping a patient’s BCS lean is recommended long term to aid management (Langley-Hobbs, 2010).
Obesity puts pressure on joints, increasing pain; therefore, keeping a patient’s BCS lean is recommended long term to aid management
Clinical signs and diagnosis
HD most commonly affects larger dogs (DeCamp et al., 2016), such as the German Shepherd or Labrador Retriever (Gemmill et al., 2011; Vezzoni et al., 2015); however, dogs of all breeds can develop it, and it is frequently bilateral (McLaughlin, 2004).
Clinical signs, such as unusual gait, exercise intolerance and hip pain, may present at an early age (Macias et al., 2006). In chronic cases, clinical signs can also include pain, pelvic limb lameness and loss of muscle mass (DeCamp et al., 2016; Pettitt, 2018).
The disease is diagnosed through a combination of clinical history, physical examination and diagnostic imaging (McLaughlin, 2004).
Case management
HD and OA are chronic conditions, often managed conservatively with long-term analgesia (Langley-Hobbs, 2010). OA is commonly diagnosed and must be managed with appropriate therapies and pain relief. Many patients cope well with long-term non-steroidal anti-inflammatory drugs (NSAIDs) and benefit from multimodal approaches, for example adding amantadine, which although not licensed for pain in dogs can provide effective pain relief (Smith, 2019). There are many options for conservative management to reduce pain and improve function.
Many patients cope well with long-term non-steroidal anti-inflammatory drugs (NSAIDs) and benefit from multimodal approaches
Physical therapy
Physical therapy (PT) can be performed with the help of trained professionals and then continued at home with owners. PT can include performing passive range of movement, encouraging proprioceptive training and improving balance with gentle weight-shifting exercises (Langley-Hobbs, 2010). More challenging exercises, such as Cavaletti rail exercises, can be used to improve the range of movement and extension of hips (Pettitt, 2018).
Hydrotherapy is a popular option for PT, offering many benefits. Water provides buoyancy, which reduces weight through joints while exercising. Hydrostatic pressure can also help reduce oedema and pain and creates some resistance to help build muscle strength and endurance (Dycus et al., 2017).
Conservative management also includes restricting activity and weight loss where appropriate (McLaughlin, 2004). Nutraceuticals are encouraged as an addition to analgesia, including omega 3, chondroitin and glucosamine supplements (Smith, 2019).
Surgical options
A femoral head and neck excision (FHNE) and a THR are surgical options for HD, although FHNEs have been reported to have a less successful outcome (Peck et al., 2012). Therefore, for the purposes of this article, we will focus on a THR. If alternative options to restore joint function have failed or are simply not viable, THR could be an appropriate choice (Dycus et al., 2017). The procedure (Figure 1) is described with good success rates (DeCamp et al., 2016); however, it is not without risk and is reserved for the right candidate (McLaughlin, 2004).
The UK hip registry is a voluntary register of hip replacement veterinary patients. In a THR prospective study, hip dysplasia was the primary disease in 150 of the 170 dogs (Forster et al., 2012). However, not every dog diagnosed with HD will have clinical signs and, therefore, warrant surgical intervention (Peck et al., 2012).
If alternative options to restore joint function have failed or are simply not viable, total hip replacement could be an appropriate choice
Case review
A six-year-old neutered female German Shepherd crossbreed, weighing 33kg, presented after being diagnosed with hip dysplasia by the referring veterinary surgeon. The patient had a seven-month history of bilateral hindlimb lameness.
Conservative management was trialled first. After a course of NSAIDs (meloxicam) and reduced exercise, the owner reported persistent right and intermittent left hind lameness.
Radiographs of the stifles and pelvis showed bilateral hip dysplasia with signs of OA. An orthopaedic referral assessment with a specialist team was organised, and robenacoxib, gabapentin and paracetamol were prescribed until further investigation.
Diagnosis
The patient was examined and found to be 3/10 lame, with marked right-side muscle atrophy and discomfort on bilateral hip extension. She had a BCS of 6/9.
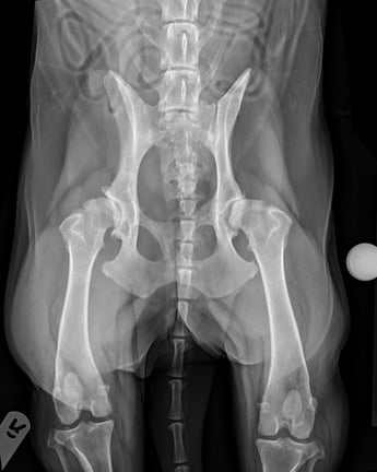
The patient underwent radiography under sedation (0.01mg/kg medetomidine, 0.2mg/kg butorphanol). The radiographs showed left pelvic OA, right OA and HD with a shallow and remodelled acetabulum and femoral head (Figure 2).
The stifles were comfortable on examination, with no indication of effusion, cranial drawer or tibial thrust. Informed consent was then gained for right side THR.
Treatment
THR is classed as a salvage procedure to improve a patient’s quality of life (Killner, 2011) and requires careful planning for the right candidate (Peck et al., 2012) (Table 1). THRs are long procedures performed under GA and preferably undertaken by experienced staff (Killner, 2011). Prolonged anaesthesia carries risks, including hypothermia and increased infection rates (Shales, 2012).
| Consideration | Rationale |
|---|---|
| Financial limitations | THR can be a financial burden to the owner, initially and ongoing, with potential rehabilitation costs (McLaughlin, 2004) |
| Good body condition score | Obesity increases the general anaesthetic and infection risks (Posner, 2016), restricts ease of surgical access and complicates post-operative patient management. Prolonged hospitalisation is seen in large or overweight dogs; the preferred BCS is 4/9 to 5/9 (Peck et al., 2012) |
| Good temperament | This is necessary to facilitate patient handling and nursing throughout the process, particularly post-operatively (Peck et al., 2012). Consider the ability of the animal to remain calm and tolerate being restricted to reduce the risk of injury and post-operative dislocation (Davidson et al., 2005) |
| No concurrent inflammatory or infectious processes | For example, septic arthritis is highly contraindicated for THRs (Peck et al., 2012). This maximises patient anaesthetic and surgical recovery. All must be resolved to prevent surgical site contamination (DeCamp et al., 2016) |
| Clinically affected by OA/HD | Some animals are diagnostically dysplastic but are clinically well and able to cope with medical management and appropriate exercise regimes (McLaughlin, 2004). Therefore, surgical intervention is not warranted in all OA/HD cases (Peck et al., 2012) |
| Appropriate age (with skeletal maturity) | This is a consideration due to the anaesthetic risk in older patients. Therefore, you must consider whether increasing patient quality of life for a reasonable period of their life span justifies an invasive procedure. In younger dogs, you must ensure growth plates are closed to avoid growth issues (Peck et al., 2012) |
| Other therapy and medical management | A THR is a salvage procedure and cannot be reversed; it can only be converted to a femoral head and neck excision or possible revision of implants (DeCamp et al., 2016) |
The referral surgery had a dedicated team, specifically trained for THR, with each individual undertaking important responsibilities. For this patient, a hybrid approach was adopted (Figure 3), which included a press fit (cementless) acetabular cup (BFX) and a cemented femoral stem (CFX) (Schiller, 2017). The universal CFX and BFX (Biomedtrix) THR system is a hybrid modular system that allows all the implants to be cemented in place or for the surgeon to use non-cemented implants.
References (click to expand)
| Butler, J. R. and Gambino, J. | 2017 | Canine hip dysplasia. Veterinary Clinics of North America: Small Animal Practice, 47, 777-793 |
| Davidson, J., Kerwin, S. and Millis, D. | 2005 | Rehabilitation for the orthopaedic patient. Veterinary Clinics of North America: Small Animal Practice, 35, 1357-1388 |
| DeCamp, C., Johnston, S., Dejardin, L. and Schaefer, S. | 2016 | Brinker, Piermattei and Flo’s Handbook of Small Animal Orthopedics and Fracture Repair, 5th ed. Elsevier, London, pp.468-517 |
| Dycus, D. L., Levine, D. and Marcellin-Little, D. J. | 2017 | Physical rehabilitation for the management of canine hip dysplasia. Veterinary Clinics of North America: Small Animal Practice, 47, 823-850 |
| Forster, K. E., Wills, A., Torrington, A. M., Moores, A. P., Thomson, D., Arthurs, G., Brown, G., Denny, H. R., Scott, H. W., MacQueen, I., Dunne, J., Onyett, J., Walker, J. D., Prior, J., Owen, M. R., Burton, N., Whitelock, R., Girling, S., Morrison, S. and Gilbert, S. | 2012 | Complications and owner assessment of canine total hip replacement: a multicenter internet based survey. Veterinary Surgery, 41, 545-550 |
| Gemmill, T. J., Pink, J., Renwick, A., Oxley, B., Downes, C., Roch, S. and McKee, W. M. | 2011 | Hybrid cemented/cementless total hip replacement in dogs: seventy-eight consecutive joint replacements. Veterinary Surgery, 40, 621-630 |
| Killner, J. | 2011 | Total hip replacement. Veterinary Nursing Journal, 26, 428-431 |
| Langley-Hobbs, S. | 2010 | Patients with orthopaedic disease. In: Lindley, S. and Watson, P. (eds) BSAVA Manual of Canine and Feline Rehabilitation, Supportive and Palliative Care: Case Studies in Patient Management. British Small Animal Veterinary Association, Gloucester, pp.194-231_x000D_ _x000D_ |
| Macias, C., Cook, J. and Innes, J. | 2006 | The hip. In: Houlton, J. E. F., Cook, J. L., Innes, J. F. and Langley-Hobbs, S. J. (eds) BSAVA Manual of Canine and Feline Musculoskeletal Disorders. British Small Animal Veterinary Association, Gloucester, pp.309-349 |
| McLaughlin, R. | 2004 | Hip dysplasia. In: Harari, J. (ed) Small Animal Surgery Secrets. Elsevier-Health Sciences Division, Amsterdam, pp.299-304 |
| Peck, J., Marcellin-Little, D., Liska, W. and DeYoung, D. | 2012 | Advances in Small Animal Total Joint Replacement, 1st ed. John Wiley & Sons, Ames, pp.69-106 |
| Pettitt, R. | 2018 | Principles of orthopaedic surgery. In: Arthurs, G., Brown, G. and Pettitt, R. (eds) BSAVA Manual of Canine and Feline Musculoskeletal Disorders: A Practical Guide to Lameness and Joint Disease, 2nd ed. British Small Animal Veterinary Association, Gloucester, pp.187-199 |
| Posner, L. | 2016 | Pre-anaesthetic Assessment and Preparation. In: Duke-Novakovski, T., De Vries, M. and Seymour, C. (eds), BSAVA Manual of Canine and Feline Anaesthesia and Analgesia, 3rd ed. British Small Animal Veterinary Association, Gloucester, pp. 6-12 |
| Schiller, T. D. | 2017 | BioMedtrix total hip replacement systems. Veterinary Clinics of North America: Small Animal Practice, 47, 899-916 |
| Shales, C. | 2012 | Surgical Wound Infection and Antimicrobial Prophylaxis. In: Baines, S., Lipscomb, V. and Hutchinson, T. (eds), BSAVA Manual of Canine and Feline Surgical Principles, A Foundation Manual. British Small Animal Veterinary Association, Gloucester, pp. 220-230 |
| Self, I. | 2019 | The importance of pain management. BSAVA Companion, 5, 20-21 |
| Smith, K. | 2019 | Orthopaedic Pain. In: Self, I. (ed), BSAVA Guide to Pain Management in Small Animal Practice. British Small Animal Association, Gloucester, pp.148-152 |
| Vezzoni, L., Vezzoni, A. and Boudrieau, R. J. | 2015 | Long-term outcome of Zürich cementless total hip arthroplasty in 439 cases. Veterinary Surgery, 44, 921-929 |
