Lower urinary tract disease (LUTD) is a common and often challenging condition in small exotic mammals, particularly rabbits, guinea pigs and ferrets. These animals exhibit unique urinary tract anatomy and physiology, which can contribute to the development of various diseases, ranging from bladder sludge and urolithiasis to more complex conditions such as cystitis and prostatitis. Early diagnosis and appropriate treatment are critical to improving patient outcomes; however, patients often do not present until they have advanced disease. This article explores the common urinary conditions affecting rabbits, guinea pigs and ferrets; however, lower urinary tract disease can also be seen in other exotic small mammals.
Lower urinary tract disease in rabbits
Bladder sludge in rabbits
Bladder sludge is one of the most common lower urinary tract conditions seen in rabbits (Smith, 2021). It is characterised by the accumulation of calcium salts in the bladder, leading to a thick, gritty sediment forming. While this condition can be asymptomatic in some rabbits, it often leads to clinical signs such as haematuria (blood in the urine) and dysuria (painful urination), and in more severe cases, bladder obstruction. The most commonly observed symptom is chalky material within the urine, which often dries as a powdery white to yellow substance (Figure 1).
The fractional excretion of calcium in rabbits can range from 45 to 60 percent, in comparison to other mammals that have less than 2 percent fractional excretion of calcium
The primary risk factor for bladder sludge is a diet high in calcium, which is common in pet rabbits due to the overfeeding of calcium-rich foods such as dark green leafy vegetables and hays high in calcium. Rabbits are highly efficient in excreting excess calcium, which they filter through the kidneys. The fractional excretion of calcium in rabbits can range from 45 to 60 percent, in comparison to other mammals that have less than 2 percent fractional excretion of calcium (Buss and Bourdeau, 1984). A diet high in calcium results in increased calcium filtration through the kidneys and increased deposition within the bladder. Calcium carbonate crystals are most commonly found in the sludge (Osborne et al., 2009), but in some cases, the crystals may form into small stones. Other risk factors include being overweight, sedentary behaviour and decreased water intake (Clauss et al., 2012).
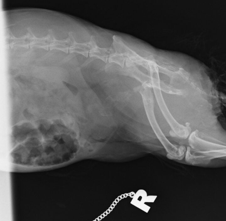
Diagnosis is typically based on clinical signs, physical examination, urinalysis and imaging. The urine may appear cloudy or contain visible sediment. Radiographs can help assess the amount of sludge present and rule out other issues such as urolithiasis (Figure 2). Urinary ultrasound is another useful tool, providing a more detailed view of the bladder wall and sludge accumulation.
In more severe cases, medical management may include diuretics to encourage urinary excretion, as well as pain management with non-steroidal anti-inflammatory drugs (NSAIDs) and potassium citrate to attempt to acidify the urine to prevent precipitation of calcium salts
Management of bladder sludge involves addressing the underlying dietary issues, such as reducing high-calcium foods like alfalfa hay and ensuring a diet of mostly grass hay, leafy greens and a balanced pellet. In more severe cases, medical management may include diuretics to encourage urinary excretion, as well as pain management with non-steroidal anti-inflammatory drugs (NSAIDs) and potassium citrate to attempt to acidify the urine to prevent precipitation of calcium salts (Hoefer and Latney, 2009). In rare cases, if the sludge leads to bladder distension or obstruction, or if the resultant bladder pain causes gastrointestinal stasis episodes, physical intervention may be required. In some cases, catheterisation of the bladder and flushing with warm sterile saline can remove the abnormal bladder contents (Figure 3). In more severe cases, cystotomy and removal of the bladder contents may be required.
Urolithiasis in rabbits
Urolithiasis, or the formation of urinary stones, is another urinary issue that may be encountered in rabbits. Uroliths can form anywhere in the urinary tract but are most often found in the bladder, although they are less common than bladder sludge formation. Like bladder sludge, the formation of uroliths is linked to a high-calcium diet. However, other factors, such as dehydration, inadequate water intake and urinary tract infections (UTIs), can also contribute to stone formation (Circella et al., 2021).
The clinical signs of urolithiasis in rabbits include haematuria, dysuria, frequent urination and stranguria. In some cases, the stones can cause a complete obstruction of the urinary tract, which is a medical emergency (Circella et al., 2021). Diagnosis is confirmed through radiographs, where the stones will appear as radiopaque structures, or via ultrasound, where uroliths result in acoustic shadowing.
Treatment of urolithiasis in rabbits often requires surgical removal of the stones, especially in cases of complete obstruction. In less severe cases, conservative management may include increasing water intake, administering analgesia and managing the rabbit’s diet to prevent the formation of further stones. Long-term dietary changes to reduce calcium intake are crucial, and in some cases, potassium citrate may be used to help prevent further stone formation.
Lower urinary tract disease in guinea pigs
Urolithiasis in guinea pigs
Urolithiasis in guinea pigs shares many similarities with rabbits; however, urolithiasis is far more common in guinea pigs than rabbits (Reavill and Lennox, 2020). Like rabbits, guinea pigs are prone to forming calcium-based stones, particularly calcium carbonate stones (Hawkins et al., 2009). Guinea pigs are obligate herbivores, and a diet rich in calcium – especially from high-oxalate greens – can predispose them to this condition.
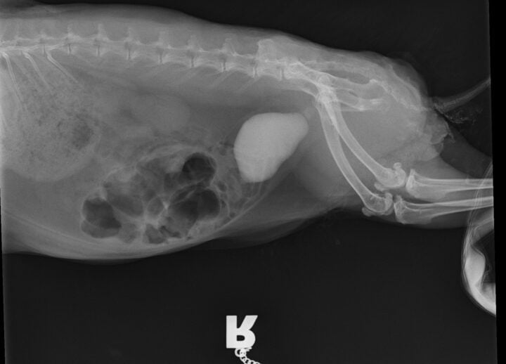
Common symptoms of urolithiasis in guinea pigs include stranguria, haematuria and signs of discomfort or pain when urinating, such as vocalisation. Diagnosis of urolithiasis in guinea pigs is similar to diagnosis in rabbits, using physical examination, urinalysis and imaging techniques, such as radiographs or ultrasound. Radiographs will often reveal the presence of stones (Figure 4), though small stones may be missed if they are not radiopaque. Ultrasound can be particularly useful for detecting smaller stones or those located in the kidneys or ureters.
Recurrence of urolithiasis in guinea pigs following surgery is common. For prevention, dietary modifications are essential, focusing on a low-calcium, high-fibre diet
Treatment generally involves surgical removal of the stones, especially in cases of obstruction. However, if the stones are smaller or located in areas where they can pass on their own, conservative management with increased hydration and analgesia may be appropriate. Recurrence of urolithiasis in guinea pigs following surgery is common. For prevention, dietary modifications are essential, focusing on a low-calcium, high-fibre diet.
Cystitis in guinea pigs
Cystitis, or inflammation of the bladder, is another urinary condition that affects guinea pigs. This condition is usually a diagnosis of exclusion by ruling out urolithiasis, neoplasia and bacterial infections. Clinical signs of cystitis in guinea pigs include discomfort and vocalisation when passing urine, haematuria, frequent urination and stranguria. Affected animals may also show signs of lethargy or anorexia.
Diagnosis is based on clinical signs, urinalysis and culture to identify any causative pathogen. Bladder ultrasound is also useful to rule out urolithiasis and assess for other pathology. In some cases, the bladder wall may be thickened or appear hyperechoic.
Treatment of cystitis in guinea pigs typically involves analgesia and supportive care. If presence of a UTI is evident, treating this first may result in resolution of the cystitis. Medical management of cystitis in guinea pigs involves a multimodal approach, using NSAIDs, other analgesia, potassium citrate, vitamin C and sometimes the use of L-tryptophan. Dietary modification to avoid excess calcium should be recommended, and a husbandry review should be undertaken to ensure no excess sugars or carbohydrates are in the diet.
This condition is usually a diagnosis of exclusion by ruling out urolithiasis, neoplasia and bacterial infections
Lower urinary tract disease in ferrets
Urolithiasis in ferrets
Ferrets are also prone to urolithiasis, with the majority of urinary stones being composed of struvite or magnesium ammonium phosphate (Reavill and Lennox, 2020). Unlike rabbits and guinea pigs, ferrets have a higher tendency to form struvite stones, often in the bladder or urethra. The formation of uroliths in ferrets can be influenced by factors such as diet, in particular vegetable-based protein diets (Fox and Bell, 2014), dehydration or urinary tract infections. Neutered male ferrets have been shown to have an increased risk of developing struvite urolithiasis (Nwaokorie et al., 2011). Clinical signs of urolithiasis in ferrets include haematuria, dysuria and frequent urination, as well as signs of urinary tract obstruction in severe cases. If a stone obstructs the urethra, the ferret may show signs of pain, including vocalisation or straining to urinate.
Neutered male ferrets have been shown to have an increased risk of developing struvite urolithiasis
Diagnosis is achieved through radiographs, ultrasound and urinalysis in the same way as rabbit and guinea pig patients. Radiographs will typically reveal the presence of radiopaque stones, while ultrasound can help identify smaller or less visible stones. Urinalysis may show the presence of crystals, bacteria or blood. Surgical cystocentesis to remove the stone is often the treatment of choice. Following removal of the stone, submitting the sample for culture and composition analysis may prove useful in treatment. Prevention of further urolithiasis formation involves dietary modification by transitioning the patient to an animal-protein-based diet and increasing water intake.
Prostatitis in ferrets
Prostatitis, or inflammation of the prostate gland, is a condition seen in male ferrets, especially those that are not neutered. Underlying causes can include benign prostatic hyperplasia, prostatic cysts or abscesses, or neoplasia. There is also a link between hyperadrenocorticism and prostatic enlargement (Reavill and Lennox, 2020). Enlargement of the prostate can result in difficulty urinating or complete urinary obstruction. Some ferrets can also develop UTIs or urolithiasis secondary to prostatic hyperplasia (Powers et al., 2007).
Affected ferrets will show signs of stranguria, lethargy and anorexia. Digital palpation of the prostate is difficult in such small patients, so diagnosis involves imaging of the bladder with ultrasound or radiographs. Physical examination will also often reveal a large, usually firm, bladder that may be painful on palpation. Urinalysis may show evidence of infection or blood, and cultures can help identify the causative pathogen when secondary bacterial infection is present.
As the underlying cause in these cases is usually hormonal, use of a GnRH agonist such as a deslorelin implant should help reduce the size of the prostate over time. In cases where the patient is unable to urinate due to obstruction, a urinary catheter should be placed to allow the bladder to empty. Treatment should also be commenced with analgesia and NSAIDs, as well as treatment of secondary issues such as UTIs.
Conclusion
By addressing these issues early and tailoring treatment to the specific needs of each species, veterinary professionals can significantly improve the quality of life for small mammal patients suffering from lower urinary tract disease
Lower urinary tract disease in rabbits, guinea pigs and ferrets can range from mild, manageable conditions, such as bladder sludge and cystitis, to more serious issues such as urolithiasis and prostatitis. As these animals often present with non-specific signs such as haematuria or dysuria, a thorough diagnostic approach – including urinalysis, imaging and culture – is crucial to determining the underlying cause. Dietary modification, increased hydration and appropriate medical or surgical intervention form the cornerstone of treatment. By addressing these issues early and tailoring treatment to the specific needs of each species, veterinary professionals can significantly improve the quality of life for small mammal patients suffering from lower urinary tract disease.
References (click to expand)
Ashton Hollwarth, BSc, BVMS, CertAVP (Zoo Med), ANZCVS (Avian Medicine & Surgery), DipECZM (Avian), MRCVS, studied in Western Australia before moving to the UK after graduating. Following a short time in general practice, she completed her residency in avian medicine and surgery at Great Western Exotics. Ashton currently works exclusively in avian and exotics, and her clinical interests include avian and exotic anaesthesia, parrot behaviour and small mammal surgery. Ashton gained her Certificate of Advanced Veterinary Practice in Zoological Medicine in 2020, became an Advanced Practitioner in Zoological Medicine in 2021 and gained membership by examination to the Australian and New Zealand College of Veterinary Scientists’ Avian Chapter in 2022. She became a diplomat of the European College of Zoological Medicine as a specialist in avian medicine and surgery in 2024.
